Официальное опубликование правовых актов
ОФИЦИАЛЬНОЕ ОПУБЛИКОВАНИЕ
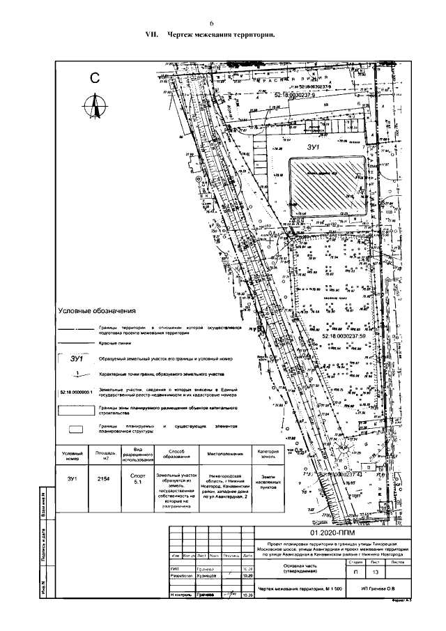
Приказ Министерства градостроительной деятельности и развития агломераций Нижегородской области от 16.08.2021 № 07-02-03/60 "Об утверждении проекта планировки территории в границах улицы Тихорецкая, Московское шоссе, улицы Авангардная и проекта межевания территории по улице Авангардная в Канавинском районе города Нижнего Новгорода"
(Зарегистрирован 06.09.2021 № 17763-330-007-02-03/60)
Номер опубликования: 5201202109080008
Дата опубликования: 08.09.2021
Страница №8 из 8:
Увеличить