Официальное опубликование правовых актов
ОФИЦИАЛЬНОЕ ОПУБЛИКОВАНИЕ
Приказ Министерства градостроительной деятельности и развития агломераций Нижегородской области от 01.07.2021 № 07-02-03/44
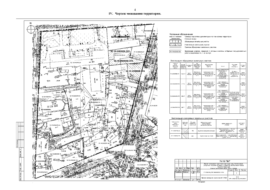
"Об утверждении проекта межевания территории в границах улиц Алексеевская, Звездинка, переулка Холодный в Нижегородском районе города Нижнего Новгорода"
(Зарегистрирован 22.07.2021 № 17581-330-007-02-03/44)
Номер опубликования: 5201202107230007
Дата опубликования: 23.07.2021
Страница №6 из 6:
Увеличить