Официальное опубликование правовых актов
ОФИЦИАЛЬНОЕ ОПУБЛИКОВАНИЕ
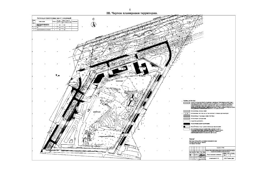
Приказ Министерства градостроительной деятельности и развития агломераций Нижегородской области от 03.12.2020 № 07-02-03/123 "Об утверждении документации по планировке территории (проект планировки территории, включая проект межевания территории) в районе Заревской объездной дороги, севернее дома № 80 по улице Чапаева в городском округе город Дзержинск Нижегородской области"
(Зарегистрирован 28.12.2020 № 16634-330-007-02-03/123)
Номер опубликования: 5201202012300012
Дата опубликования: 30.12.2020
Страница №8 из 10:
Увеличить