Официальное опубликование правовых актов
ОФИЦИАЛЬНОЕ ОПУБЛИКОВАНИЕ
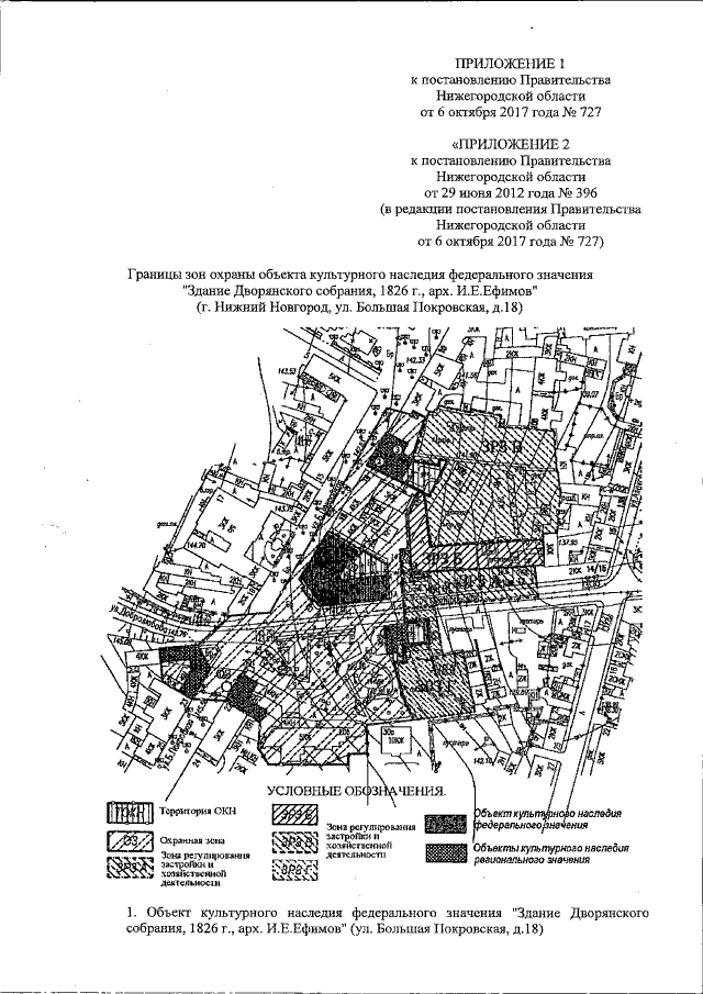
Постановление Правительства Нижегородской области от 06.10.2017 № 727
"О внесении изменений в постановление Правительства Нижегородской области от 29 июня 2012 года № 396"
Номер опубликования: 5200201710130001
Дата опубликования: 13.10.2017
Страница №2 из 23:
Увеличить