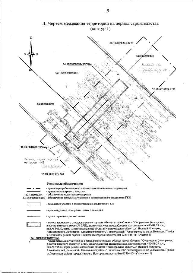
Постановление Правительства Нижегородской области от 31.05.2017 № 379
"Об утверждении проекта планировки и межевания территории, расположенной около д.4а по улице Новикова-Прибоя Ленинского района, в границах улиц Николая Пахомова, Зеленодольская, Тамбовская, Калужская, Спортивная, Лодыгина Канавинского района города Нижнего Новгорода"
"Об утверждении проекта планировки и межевания территории, расположенной около д.4а по улице Новикова-Прибоя Ленинского района, в границах улиц Николая Пахомова, Зеленодольская, Тамбовская, Калужская, Спортивная, Лодыгина Канавинского района города Нижнего Новгорода"
Номер опубликования: 5200201706020014
Дата опубликования:
02.06.2017
