Распоряжение Министерства культуры Мурманской области от 27.01.2026 № 7
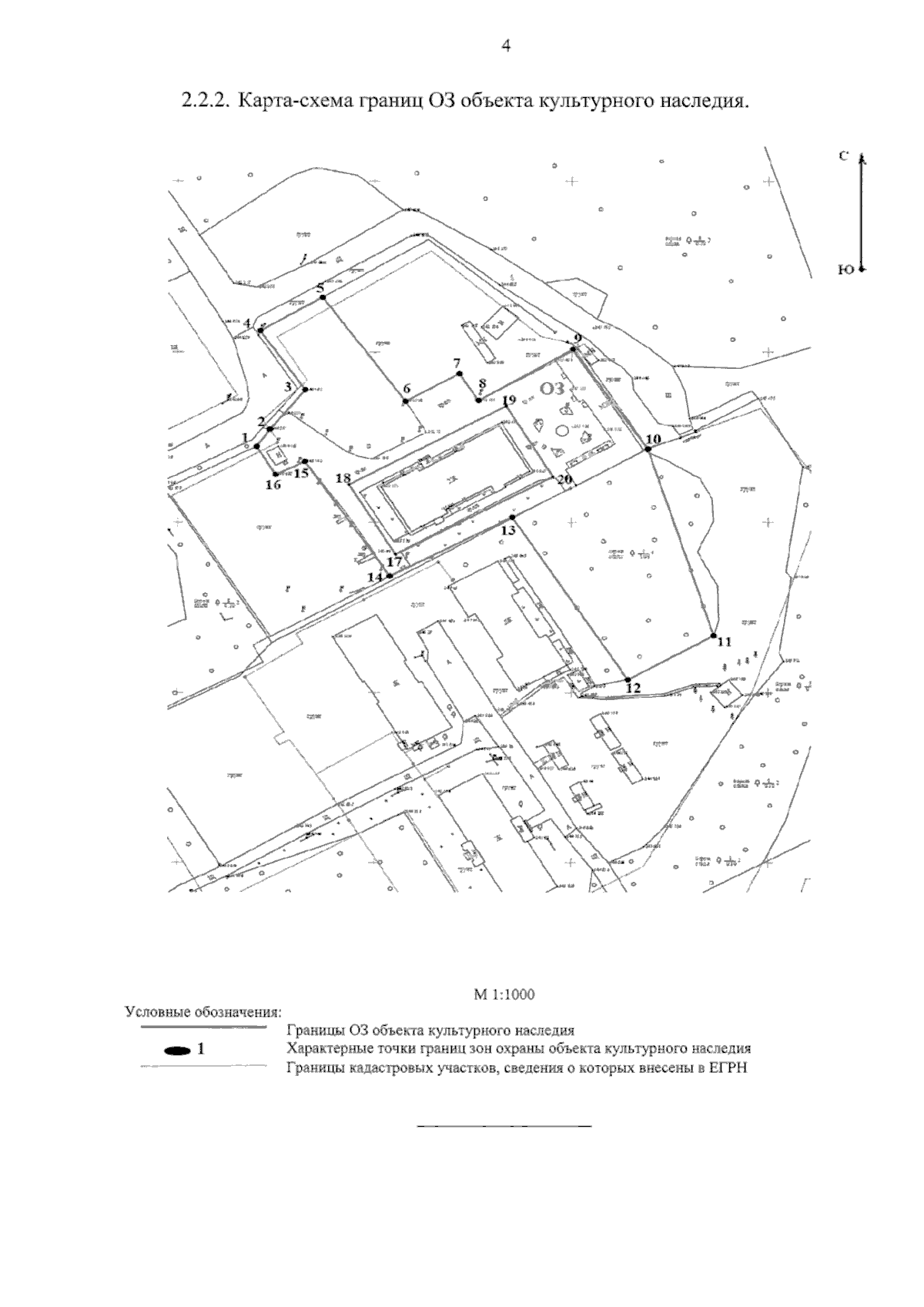
"Об установлении зон охраны (охранной зоны, зоны регулирования застройки и хозяйственной деятельности) объекта культурного наследия регионального значения "Церковь Казанской иконы Божией Матери", 1964 г., местонахождение (адрес): Мурманская область, город Кировск, улица Железнодорожная, дом 8, а также требований к градостроительным регламентам и ограничениям использования земельных участков, водных объектов и их частей в границах данных зон"
(Зарегистрирован 27.01.2026 № 12-2026-2)
"Об установлении зон охраны (охранной зоны, зоны регулирования застройки и хозяйственной деятельности) объекта культурного наследия регионального значения "Церковь Казанской иконы Божией Матери", 1964 г., местонахождение (адрес): Мурманская область, город Кировск, улица Железнодорожная, дом 8, а также требований к градостроительным регламентам и ограничениям использования земельных участков, водных объектов и их частей в границах данных зон"
(Зарегистрирован 27.01.2026 № 12-2026-2)
Номер опубликования: 5101202601280001
Дата опубликования:
28.01.2026
