Официальное опубликование правовых актов
ОФИЦИАЛЬНОЕ ОПУБЛИКОВАНИЕ
Распоряжение Министерства культуры Мурманской области от 29.09.2020 № 55
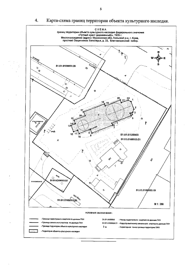
"Об утверждении границ территории и режима использования территории объекта культурного наследия федерального значения «Путный крест (деревянный)», 1635 г., местонахождение (адрес): Мурманская область, Кольский район, город Кола, проспект Защитников Заполярья, дом 22, Благовещенский собор"
Номер опубликования: 5101202010020005
Дата опубликования: 02.10.2020
Страница №7 из 9:
Увеличить