Официальное опубликование правовых актов
ОФИЦИАЛЬНОЕ ОПУБЛИКОВАНИЕ
Распоряжение Министерства культуры Мурманской области от 29.09.2020 № 56
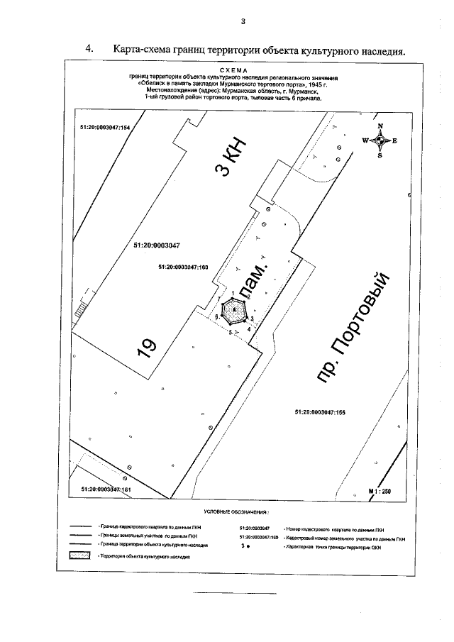
"Об утверждении границ территории и режима использования территории объекта культурного наследия регионального значения «Обелиск в память закладки Мурманского торгового порта», 1945 г., местонахождение (адрес): Мурманская область, город Мурманск, 1-ый грузовой район торгового порта, тыловая часть 6 причала"
Номер опубликования: 5101202010020004
Дата опубликования: 02.10.2020
Страница №5 из 7:
Увеличить