Официальное опубликование правовых актов
ОФИЦИАЛЬНОЕ ОПУБЛИКОВАНИЕ
Распоряжение Министерства культуры Мурманской области от 10.09.2020 № 42
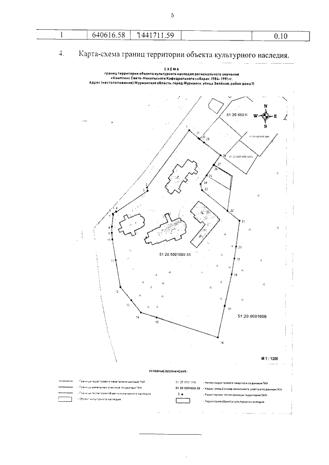
"Об утверждении границ территории и режима использования территории объекта культурного наследия регионального значения «Комплекс Свято-Никольского Кафедрального Собора», 1984-1991 гг., местонахождение (адрес): Мурманская область, город Мурманск, улица Зеленая, район дома № 11"
Номер опубликования: 5101202009110001
Дата опубликования: 11.09.2020
Страница №7 из 9:
Увеличить