Официальное опубликование правовых актов
ОФИЦИАЛЬНОЕ ОПУБЛИКОВАНИЕ
Распоряжение Министерства культуры Мурманской области от 04.09.2020 № 40
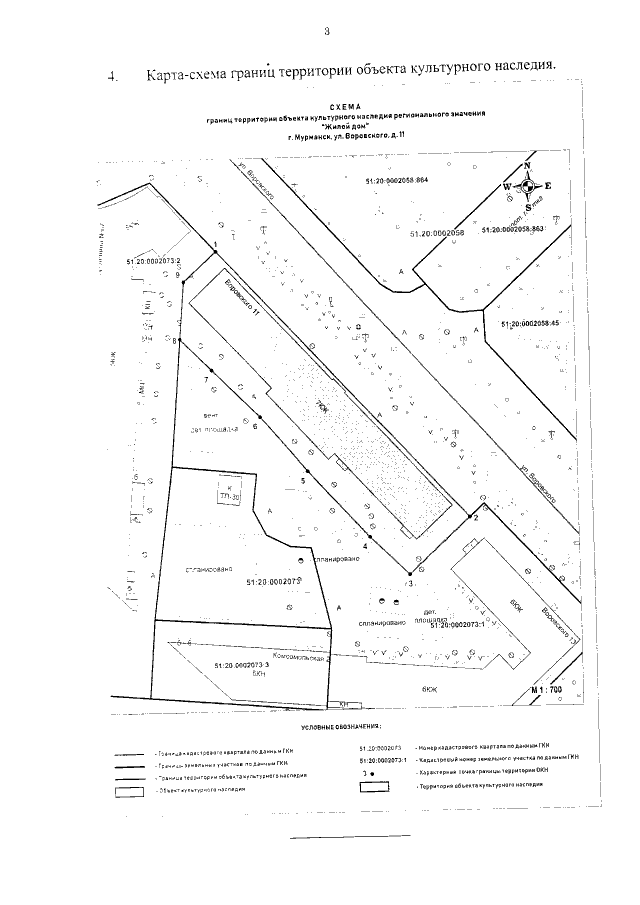
"Об утверждении границ территории и режима использования территории объекта культурного наследия регионального значения «Жилой дом», 1957 г., местонахождение (адрес): Мурманская область, город Мурманск, улица Воровского, дом 11"
Номер опубликования: 5101202009100002
Дата опубликования: 10.09.2020
Страница №5 из 7:
Увеличить