Официальное опубликование правовых актов
ОФИЦИАЛЬНОЕ ОПУБЛИКОВАНИЕ
Распоряжение Министерства культуры Мурманской области от 01.09.2020 № 38
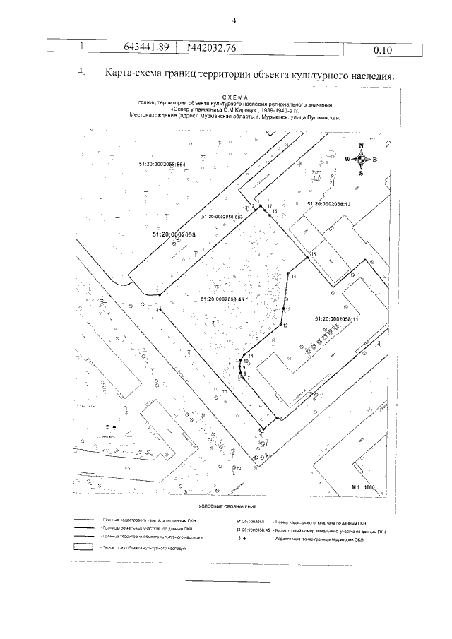
"Об утверждении границ территории и режима использования территории объекта культурного наследия регионального значения «Сквер у памятника С.М. Кирову», 1939-1940 гг., местонахождение (адрес): Мурманская область, город Мурманск, улица Пушкинская"
Номер опубликования: 5101202009020002
Дата опубликования: 02.09.2020
Страница №6 из 8:
Увеличить