Официальное опубликование правовых актов
ОФИЦИАЛЬНОЕ ОПУБЛИКОВАНИЕ
Постановление Правительства Московской области от 24.12.2021 № 1438/44
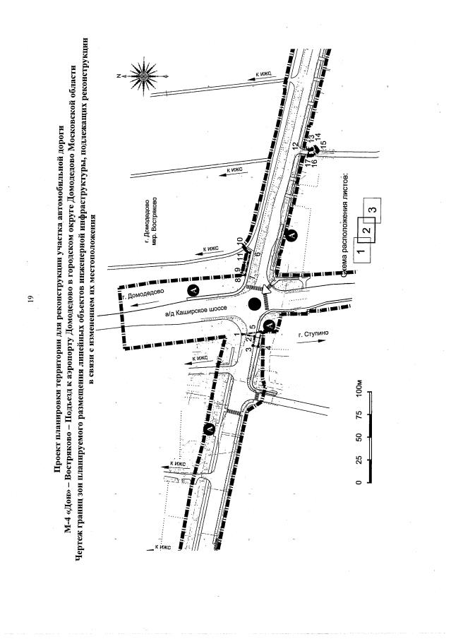
"Об утверждении проекта планировки территории для реконструкции участка автомобильной дороги М-4 "Дон" – Востряково – Подъезд к аэропорту Домодедово в городском округе Домодедово Московской области"
Номер опубликования: 5000202112270006
Дата опубликования: 27.12.2021
Страница №21 из 22:
Увеличить