Официальное опубликование правовых актов
ОФИЦИАЛЬНОЕ ОПУБЛИКОВАНИЕ
Постановление Правительства Московской области от 09.11.2021 № 1109/37
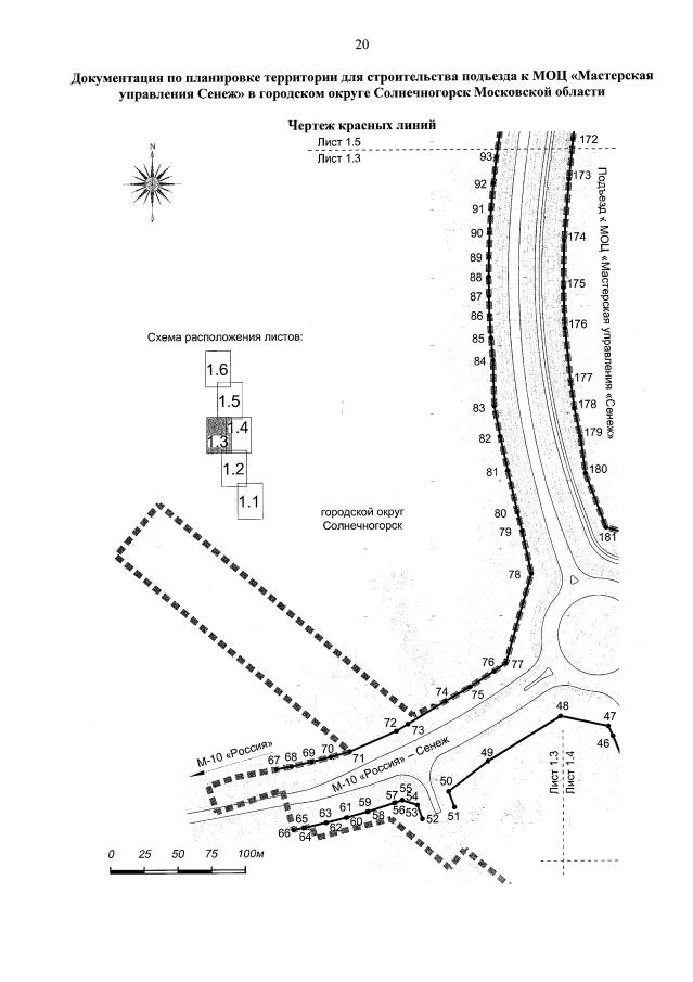
"Об утверждении документации по планировке территории для строительства подъезда к МОЦ "Мастерская управления "Сенеж" в городском округе Солнечногорск Московской области"
Номер опубликования: 5000202111100003
Дата опубликования: 10.11.2021
Страница №22 из 95:
Увеличить