Официальное опубликование правовых актов
ОФИЦИАЛЬНОЕ ОПУБЛИКОВАНИЕ
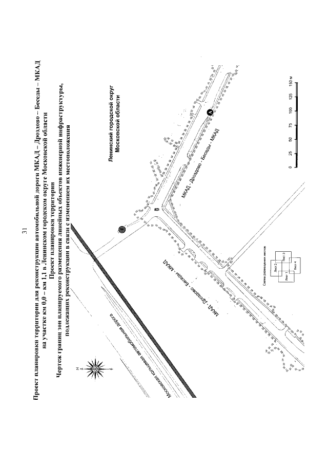
Постановление Правительства Московской области от 23.09.2021 № 920/31
"О внесении изменения в проект планировки территории для реконструкции автомобильной дороги МКАД – Дроздово – Беседы – МКАД на участке км 0,0 – км 1,1 в Ленинском городском округе Московской области"
Номер опубликования: 5000202110010010
Дата опубликования: 01.10.2021
Страница №33 из 76:
Увеличить