Официальное опубликование правовых актов
ОФИЦИАЛЬНОЕ ОПУБЛИКОВАНИЕ
Постановление Правительства Московской области от 06.09.2021 № 800/29
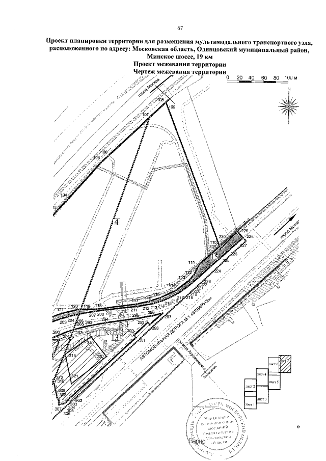
"О внесении изменений в постановление Правительства Московской области от 22.09.2016 № 686/33 "Об утверждении проекта планировки территории для размещения мультимодального транспортного узла, расположенного по адресу: Московская область, Одинцовский муниципальный район, Минское шоссе, 19 км"
Номер опубликования: 5000202109130001
Дата опубликования: 13.09.2021
Страница №69 из 69:
Увеличить