Официальное опубликование правовых актов
ОФИЦИАЛЬНОЕ ОПУБЛИКОВАНИЕ
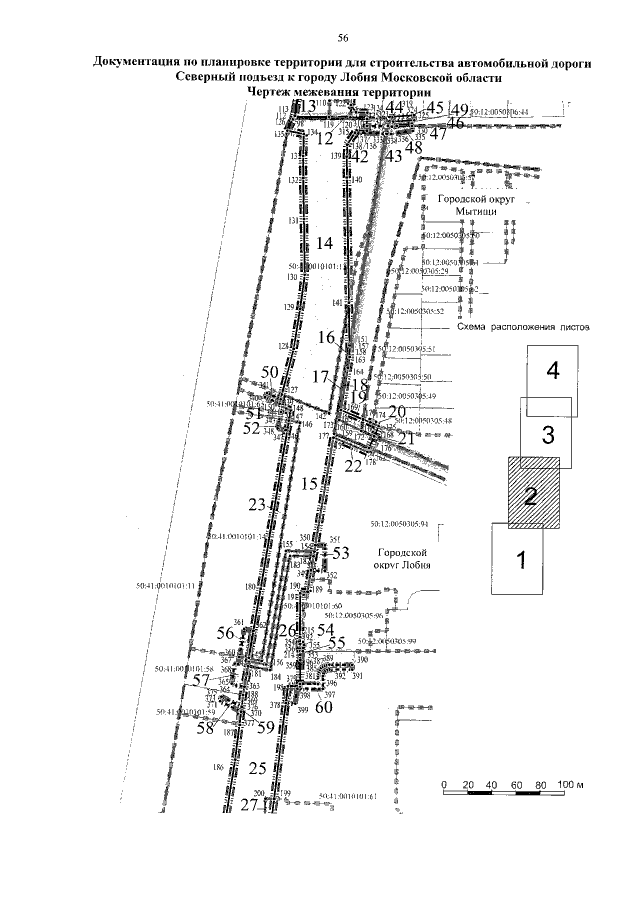
Постановление Правительства Московской области от 24.08.2021 № 724/28
"Об утверждении документации по планировке территории для строительства автомобильной дороги Северный подъезд к городу Лобня Московской области"
Номер опубликования: 5000202108260008
Дата опубликования: 26.08.2021
Страница №58 из 60:
Увеличить