Официальное опубликование правовых актов
ОФИЦИАЛЬНОЕ ОПУБЛИКОВАНИЕ
Постановление Правительства Московской области от 16.08.2021 № 679/26
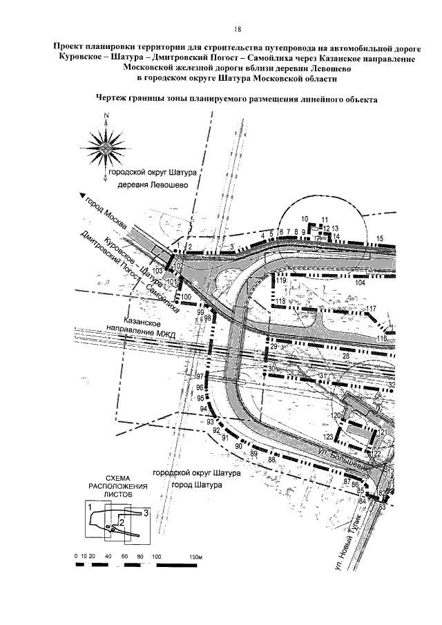
"Об утверждении проекта планировки территории для строительства путепровода на автомобильной дороге Куровское – Шатура – Дмитровский Погост – Самойлиха через Казанское направление Московской железной дороги вблизи деревни Левошево в городском округе Шатура Московской области"
Номер опубликования: 5000202108170002
Дата опубликования: 17.08.2021
Страница №20 из 26:
Увеличить