Официальное опубликование правовых актов
ОФИЦИАЛЬНОЕ ОПУБЛИКОВАНИЕ
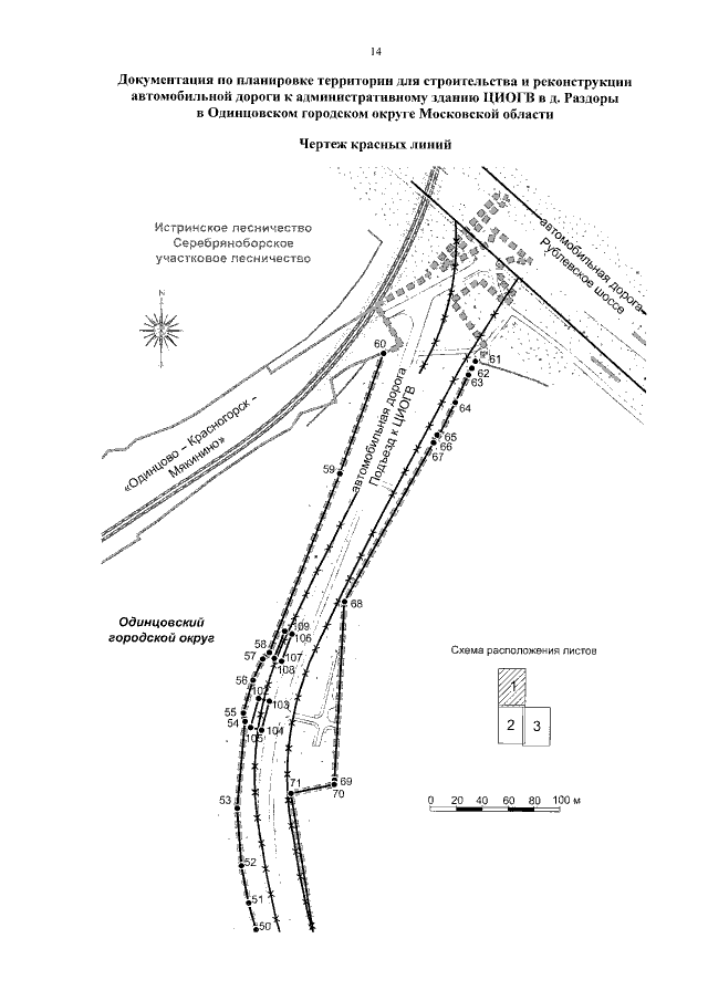
Постановление Правительства Московской области от 30.06.2021 № 530/18
"Об утверждении документации по планировке территории для строительства и реконструкции автомобильной дороги к административному зданию ЦИОГВ в д. Раздоры в Одинцовском городском округе Московской области"
Номер опубликования: 5000202107010002
Дата опубликования: 01.07.2021
Страница №16 из 37:
Увеличить