Официальное опубликование правовых актов
ОФИЦИАЛЬНОЕ ОПУБЛИКОВАНИЕ
Постановление Правительства Московской области от 18.05.2021 № 365/14
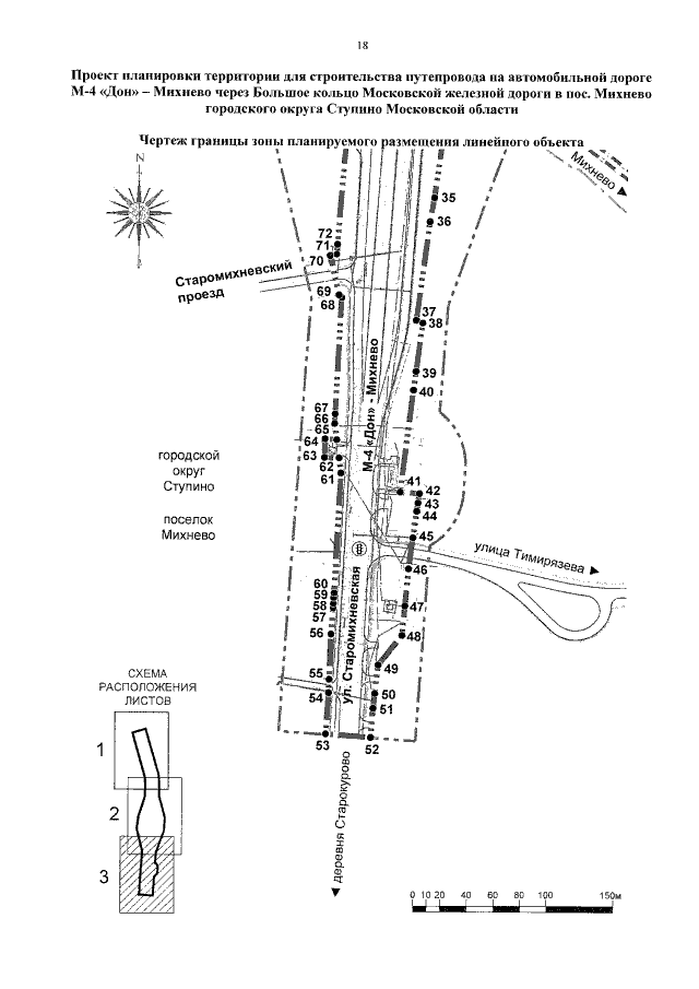
"Об утверждении проекта планировки территории для строительства путепровода на автомобильной дороге М-4 "Дон" - Михнево через Большое кольцо Московской железной дороги в пос. Михнево городского округа Ступино Московской области"
Номер опубликования: 5000202105200003
Дата опубликования: 20.05.2021
Страница №20 из 24:
Увеличить