Официальное опубликование правовых актов
ОФИЦИАЛЬНОЕ ОПУБЛИКОВАНИЕ
Постановление Правительства Московской области от 14.05.2021 № 360/14
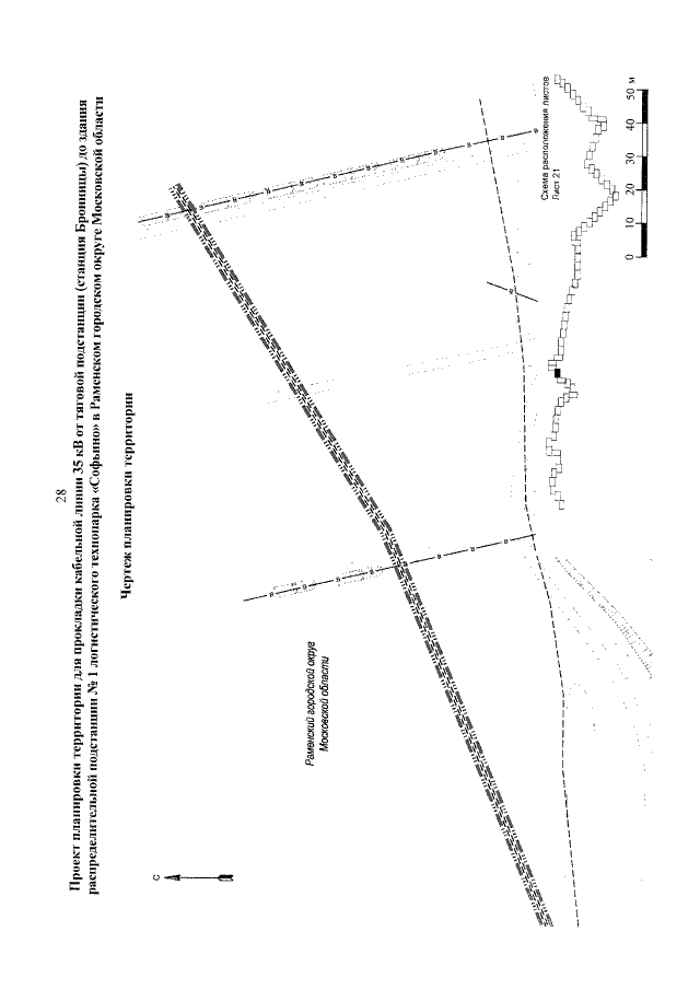
"О внесении изменений в постановление Правительства Московской области от 04.07.2017 № 556/22 "Об утверждении проекта планировки территории для прокладки кабельной линии 35 кВ от тяговой подстанции (станция Бронницы) до здания распределительной подстанции № 1 логистического технопарка "Софьино" в сельском поселении Софьинское Раменского муниципального района Московской области"
Номер опубликования: 5000202105170008
Дата опубликования: 17.05.2021
Страница №30 из 157:
Увеличить