Официальное опубликование правовых актов
ОФИЦИАЛЬНОЕ ОПУБЛИКОВАНИЕ
Постановление Правительства Московской области от 19.03.2021 № 184/7
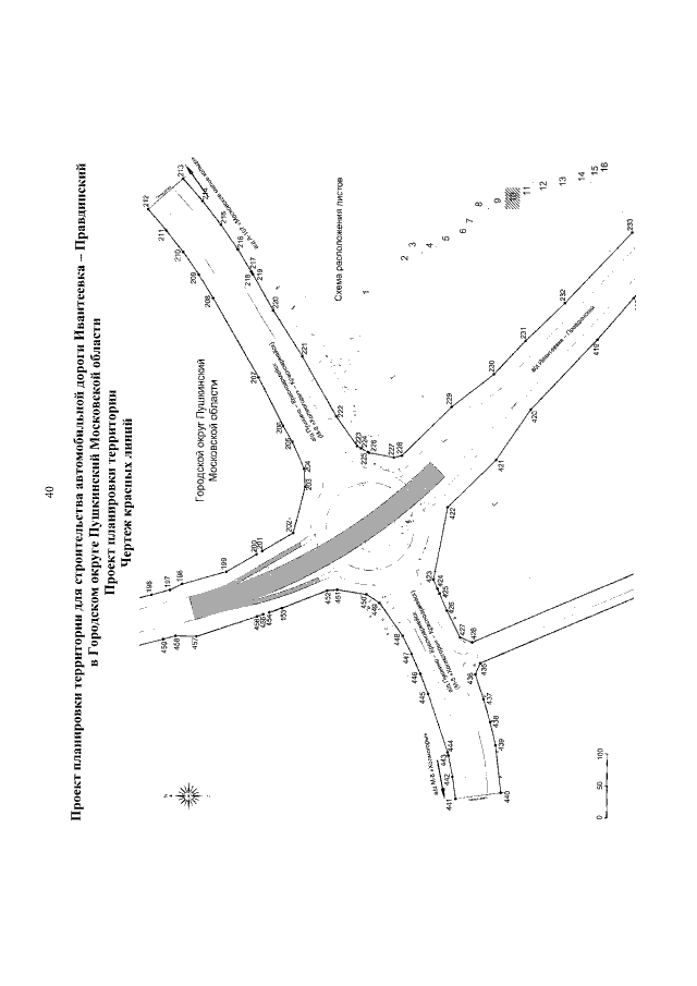
"Об утверждении проекта планировки территории для строительства автомобильной дроги Ивантеевка — Правдинский в Городском округе Пушкинский Московской области"
Номер опубликования: 5000202103220001
Дата опубликования: 22.03.2021
Страница №42 из 80:
Увеличить