Постановление Правительства Магаданской области от 13.08.2020 № 567-пп
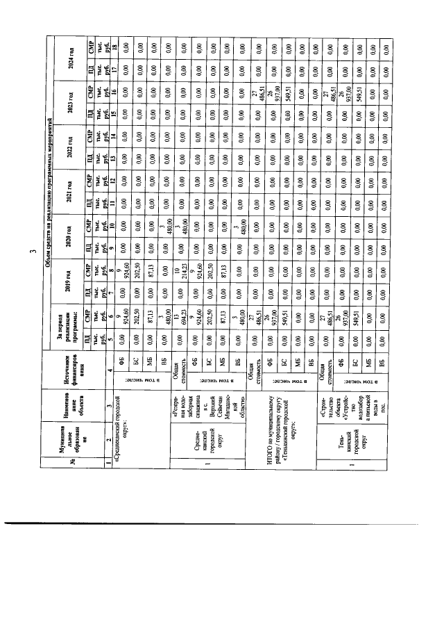
"О внесении изменений в постановление Правительства Магаданской области от 01 августа 2019 г. № 524-пп "Об утверждении государственной программы Магаданской области "Повышение качества водоснабжения из систем централизованного водоснабжения Магаданской области"
"О внесении изменений в постановление Правительства Магаданской области от 01 августа 2019 г. № 524-пп "Об утверждении государственной программы Магаданской области "Повышение качества водоснабжения из систем централизованного водоснабжения Магаданской области"
Номер опубликования: 4900202008140002
Дата опубликования:
14.08.2020
