Приказ Управления Администрации Курской области по охране объектов культурного наследия от 17.05.2019 № 103-п
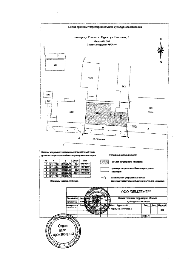
"О включении выявленного объекта культурного наследия "Дом жилой, нач. ХХ в."‚ расположенного по адресу: Курская область, г. Курск, ул. Почтовая, д. 3, в единый государственный реестр объектов культурного наследия (памятников истории и культуры) народов Российской Федерации в качестве объекта культурного наследия регионального значения "Торговые бани купца С.Ш. Карабаджака" и утверждении границ его территории"
"О включении выявленного объекта культурного наследия "Дом жилой, нач. ХХ в."‚ расположенного по адресу: Курская область, г. Курск, ул. Почтовая, д. 3, в единый государственный реестр объектов культурного наследия (памятников истории и культуры) народов Российской Федерации в качестве объекта культурного наследия регионального значения "Торговые бани купца С.Ш. Карабаджака" и утверждении границ его территории"
Номер опубликования: 4601201905230004
Дата опубликования:
23.05.2019
