Официальное опубликование правовых актов
ОФИЦИАЛЬНОЕ ОПУБЛИКОВАНИЕ
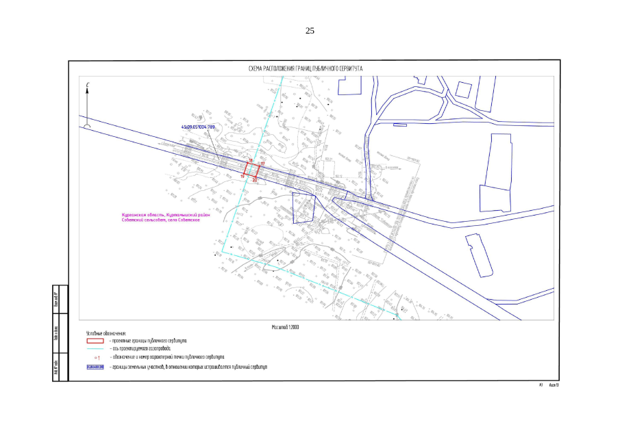
Постановление Департамента имущественных и земельных отношений Курганской области от 28.07.2023 № 24-п
"Об установлении публичного сервитута"
(Зарегистрирован 28.07.2023 № 230510024)
Номер опубликования: 4501202307310001
Дата опубликования: 31.07.2023
Страница №25 из 29:
Увеличить