Официальное опубликование правовых актов
ОФИЦИАЛЬНОЕ ОПУБЛИКОВАНИЕ
Постановление Правительства Курганской области от 11.04.2017 № 122
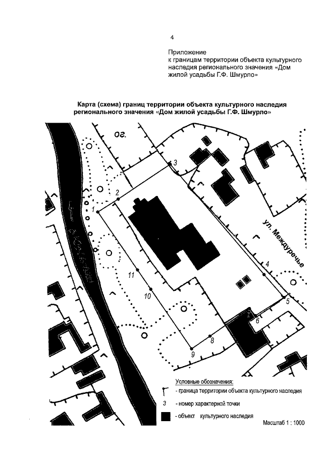
"О включении выявленного объекта культурного наследия в единый государственный реестр объектов культурного наследия (памятников истории и культуры) народов Российской Федерации"
Номер опубликования: 4500201704130023
Дата опубликования: 13.04.2017
Страница №4 из 5:
Увеличить