Постановление Правительства Курганской области от 14.03.2017 № 73
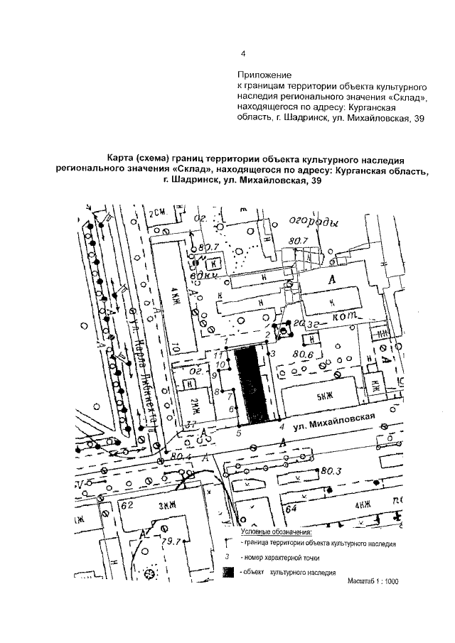
"Об утверждении границ территории объекта культурного наследия регионального значения "Склад", находящегося по адресу: Курганская область, г. Шадринск, ул. Михайловская, 39"
"Об утверждении границ территории объекта культурного наследия регионального значения "Склад", находящегося по адресу: Курганская область, г. Шадринск, ул. Михайловская, 39"
Номер опубликования: 4500201703160006
Дата опубликования:
16.03.2017
