Постановление Правительства Курганской области от 14.06.2016 № 160
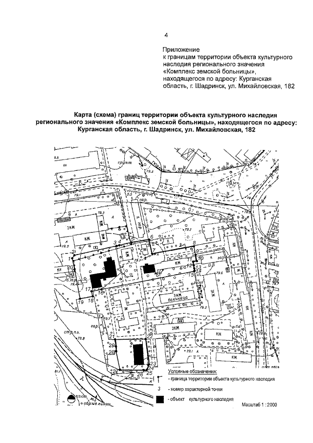
"Об утверждении границ территории объекта культурного наследия регионального значения "Комплекс земской больницы", находящегося по адресу: Курганская область, г. Шадринск, ул. Михайловская, 182"
"Об утверждении границ территории объекта культурного наследия регионального значения "Комплекс земской больницы", находящегося по адресу: Курганская область, г. Шадринск, ул. Михайловская, 182"
Номер опубликования: 4500201606200018
Дата опубликования:
20.06.2016
