Постановление Правительства Курганской области от 14.06.2016 № 162
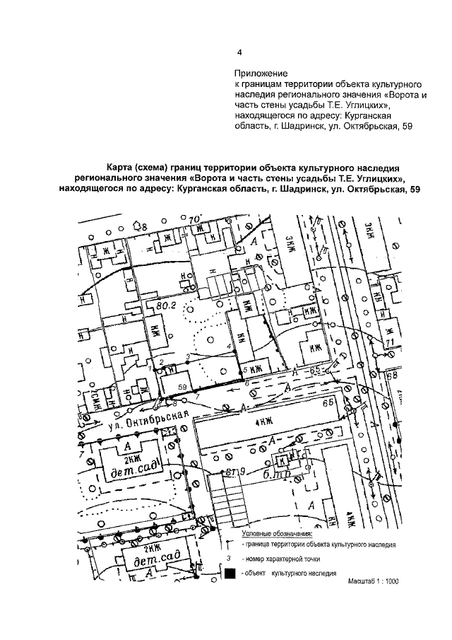
"Об утверждении границ территории объекта культурного наследия регионального значения "Ворота и часть стены усадьбы Т.Е. Углицких", находящегося по адресу: Курганская область, г. Шадринск, ул. Октябрьская, 59"
"Об утверждении границ территории объекта культурного наследия регионального значения "Ворота и часть стены усадьбы Т.Е. Углицких", находящегося по адресу: Курганская область, г. Шадринск, ул. Октябрьская, 59"
Номер опубликования: 4500201606200014
Дата опубликования:
20.06.2016
