Постановление Правительства Курганской области от 14.06.2016 № 161
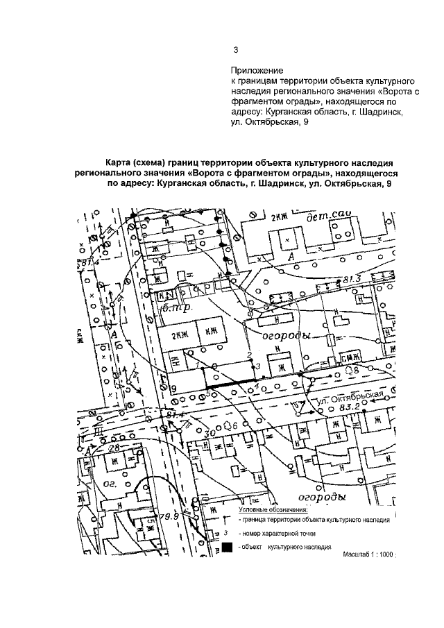
"Об утверждении границ территории объекта культурного наследия регионального значения "Ворота с фрагментом ограды", находящегося по адресу: Курганская область, г. Шадринск, ул. Октябрьская, 9"
"Об утверждении границ территории объекта культурного наследия регионального значения "Ворота с фрагментом ограды", находящегося по адресу: Курганская область, г. Шадринск, ул. Октябрьская, 9"
Номер опубликования: 4500201606200004
Дата опубликования:
20.06.2016
