Официальное опубликование правовых актов
ОФИЦИАЛЬНОЕ ОПУБЛИКОВАНИЕ
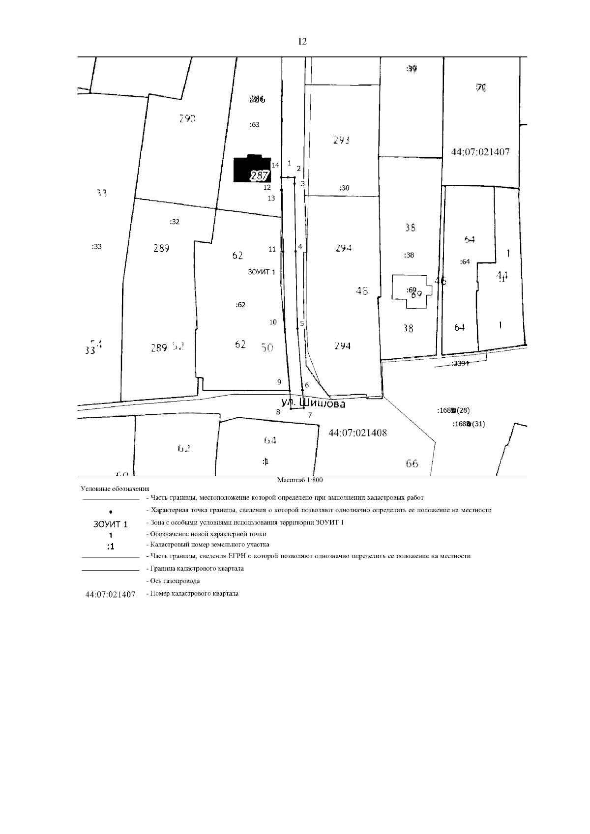
Приказ Департамента имущественных и земельных отношений Костромской области от 07.10.2024 № 128-од
"Об установлении охранных зон газопроводов газораспределительных сетей"
(Зарегистрирован 09.10.2024 № 513)
Номер опубликования: 4401202410100004
Дата опубликования: 10.10.2024
Страница №14 из 60:
Увеличить