Официальное опубликование правовых актов
ОФИЦИАЛЬНОЕ ОПУБЛИКОВАНИЕ
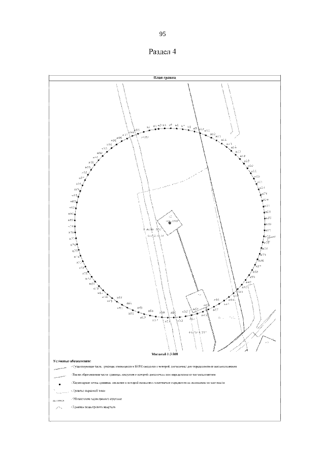
Приказ Департамента природных ресурсов и охраны окружающей среды Костромской области от 07.11.2019 № 415
"Об установлении зоны санитарной охраны"
Номер опубликования: 4401201911150003
Дата опубликования: 15.11.2019
Страница №96 из 159:
Увеличить