Официальное опубликование правовых актов
ОФИЦИАЛЬНОЕ ОПУБЛИКОВАНИЕ
Постановление Правительства Кемеровской области - Кузбасса от 10.12.2020 № 737
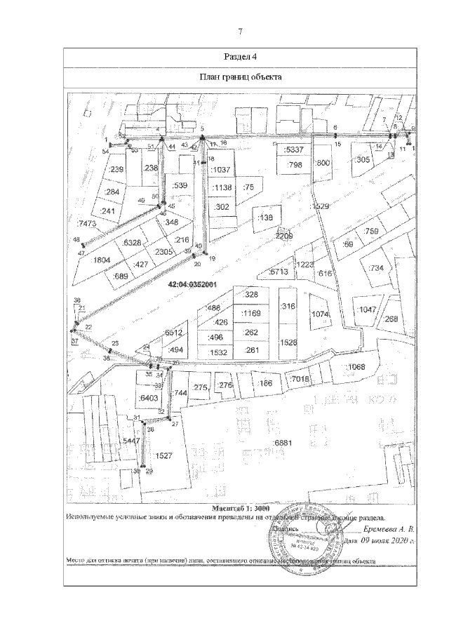
"Об утверждении границ охранной зоны существующей газораспределительной сети "Строительство газопровода по пр. Овощеводов и ул. Южная в пос. Металлплощадка Кемеровского района" с кадастровым номером 42:04:0352001:7473 и наложении ограничений (обременений) на входящие в нее земельные участки"
Номер опубликования: 4200202012140009
Дата опубликования: 14.12.2020
Страница №7 из 8:
Увеличить