Официальное опубликование правовых актов
ОФИЦИАЛЬНОЕ ОПУБЛИКОВАНИЕ
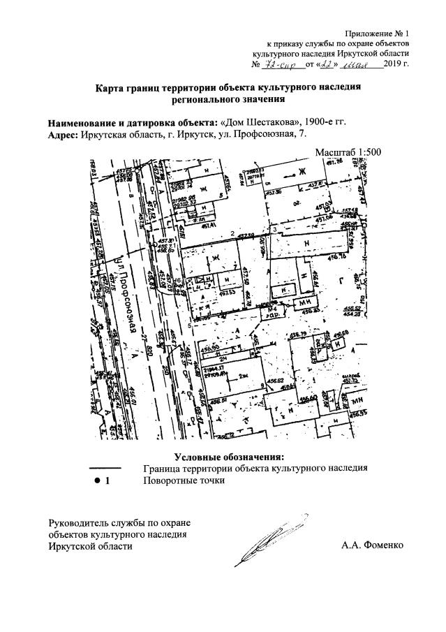
Приказ службы по охране объектов культурного наследия Иркутской области от 22.05.2019 № 72-спр
"Об утверждении границ территории и режима использования объекта культурного наследия регионального значения"
Номер опубликования: 3801201905220013
Дата опубликования: 22.05.2019
Страница №2 из 4:
Увеличить