Официальное опубликование правовых актов
ОФИЦИАЛЬНОЕ ОПУБЛИКОВАНИЕ
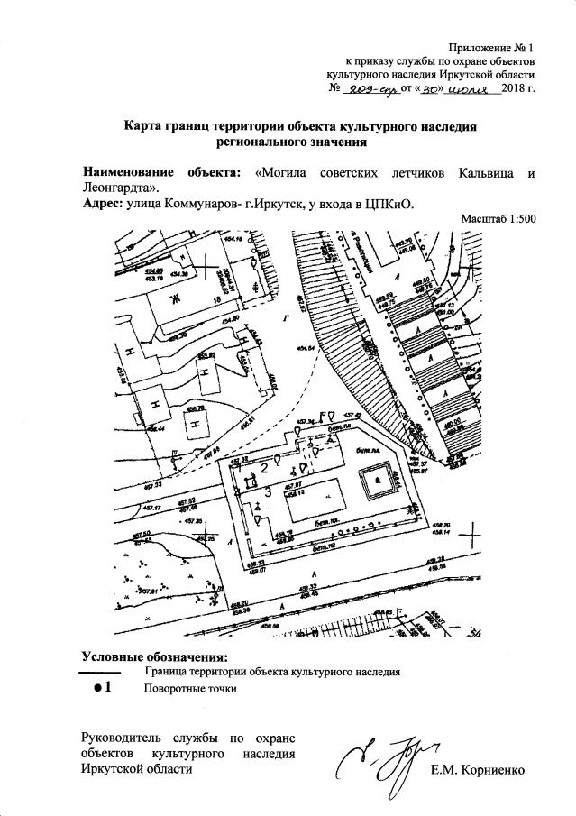
Приказ службы по охране объектов культурного наследия Иркутской области от 30.07.2018 № 209-спр
"Об утверждении границ территории и режима использования объекта культурного наследия регионального значения"
Номер опубликования: 3801201807310012
Дата опубликования: 31.07.2018
Страница №2 из 6:
Увеличить