Официальное опубликование правовых актов
ОФИЦИАЛЬНОЕ ОПУБЛИКОВАНИЕ
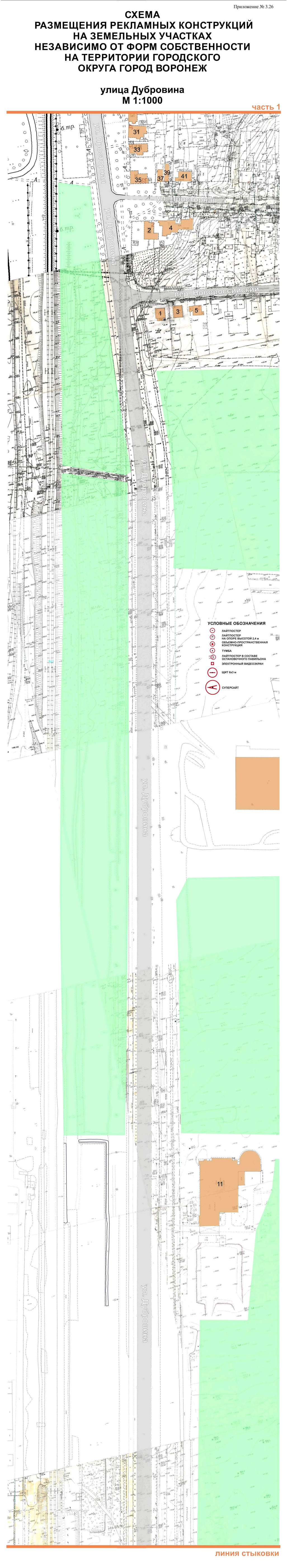
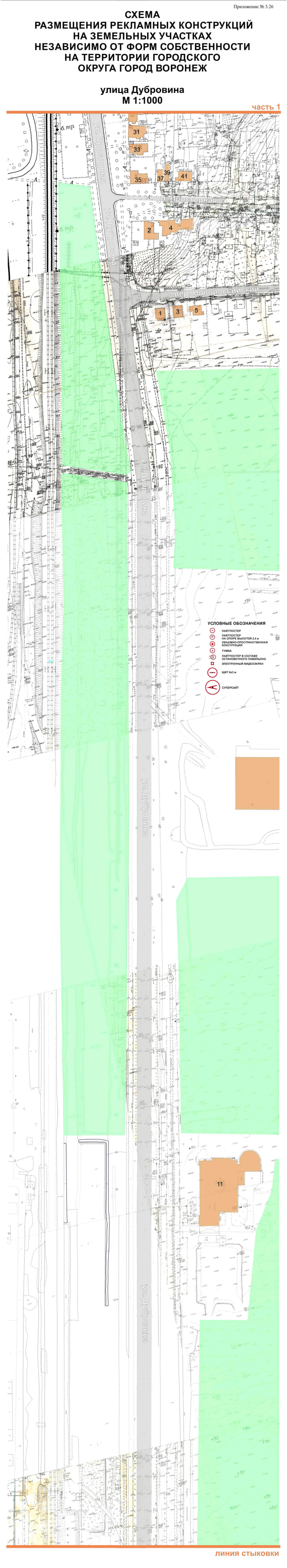
Приказ министерства имущественных и земельных отношений Воронежской области от 14.01.2025 № 29
"Об утверждении схемы размещения рекламных конструкций на земельных участках независимо от форм собственности, а также на зданиях или ином недвижимом имуществе, находящихся в муниципальной собственности городского округа город Воронеж и в собственности Воронежской области"
(Зарегистрирован 30.01.2025 № 30)
Номер опубликования: 3601202502030001
Дата опубликования: 03.02.2025
Страница №123 из 152: