Официальное опубликование правовых актов
ОФИЦИАЛЬНОЕ ОПУБЛИКОВАНИЕ
Постановление правительства Воронежской области от 11.07.2016 № 484
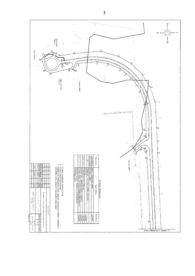
"Об утверждении проекта планировки территории для размещения объекта регионального значения: "Строительство автомобильной дороги "Елань-Колено-Бутурлиновка" - п. Лепехинка в Новохоперском муниципальном районе Воронежской области"
Номер опубликования: 3600201607130001
Дата опубликования: 13.07.2016
Страница №5 из 45:
Увеличить