Официальное опубликование правовых актов
ОФИЦИАЛЬНОЕ ОПУБЛИКОВАНИЕ
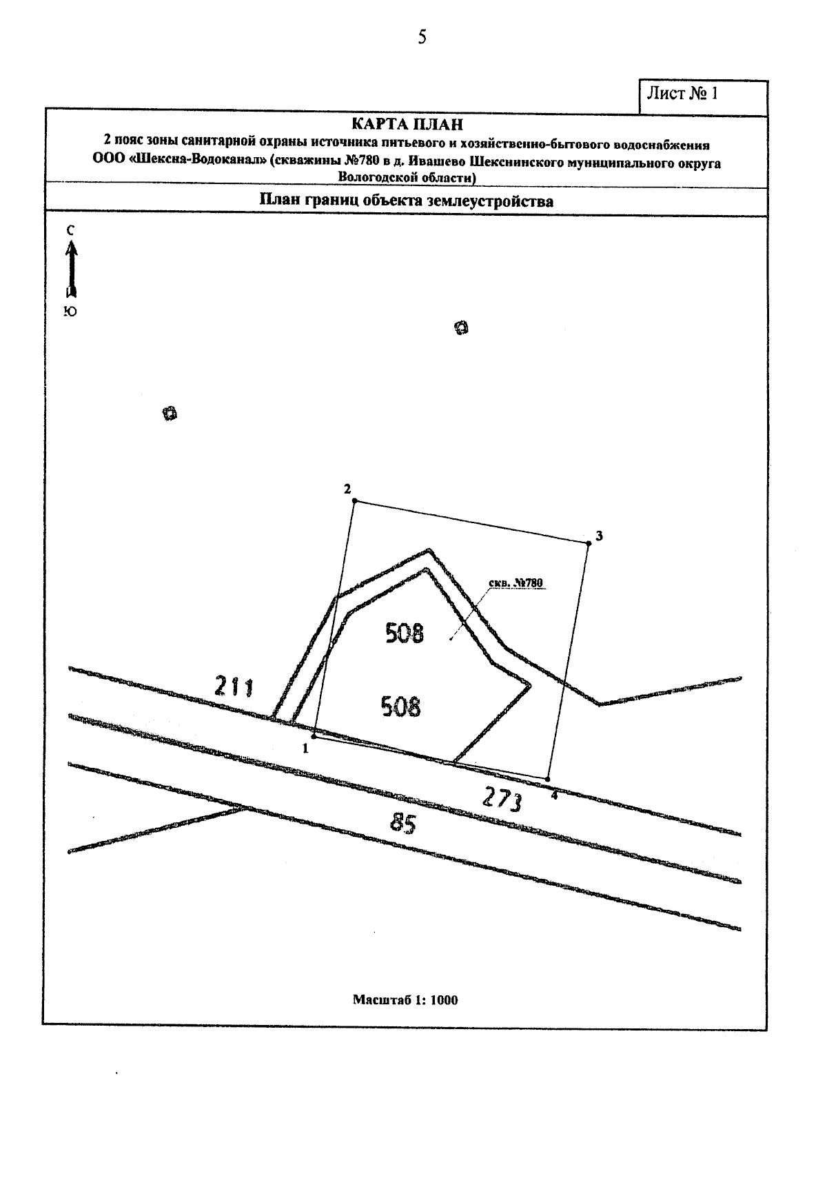
Приказ Министерства лесного комплекса Вологодской области от 09.12.2025 № 1478
"Об установлении зоны санитарной охраны источника питьевого и хозяйственно-бытового водоснабжения"
(Зарегистрирован 09.12.2025 № 1478 )
Номер опубликования: 3501202512090004
Дата опубликования: 09.12.2025
Страница №5 из 6:
Увеличить