Официальное опубликование правовых актов
ОФИЦИАЛЬНОЕ ОПУБЛИКОВАНИЕ
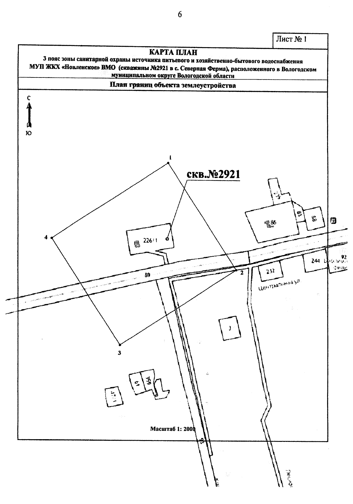
Приказ Министерства лесного комплекса Вологодской области от 10.11.2025 № 1356
"Об установлении зоны санитарной охраны источника питьевого и хозяйственно-бытового водоснабжения"
(Зарегистрирован 10.11.2025 № 1356)
Номер опубликования: 3501202511110006
Дата опубликования: 11.11.2025
Страница №6 из 6:
Увеличить