Официальное опубликование правовых актов
ОФИЦИАЛЬНОЕ ОПУБЛИКОВАНИЕ
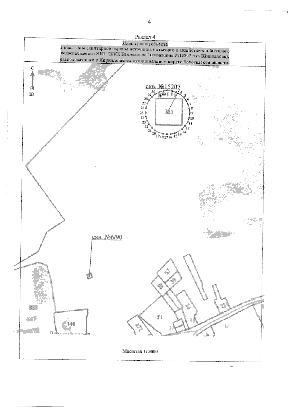
Приказ Департамента природных ресурсов, лесного и охотничьего хозяйства Вологодской области от 02.11.2024 № 1522
"Об установлении зон санитарной охраны источников питьевого и хозяйственно-бытового водоснабжения"
(Зарегистрирован 02.11.2024 № 1522)
Номер опубликования: 3501202411050003
Дата опубликования: 05.11.2024
Страница №4 из 9:
Увеличить