Официальное опубликование правовых актов
ОФИЦИАЛЬНОЕ ОПУБЛИКОВАНИЕ
Постановление Правительства Вологодской области от 26.12.2016 № 1187
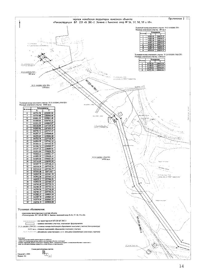
"Об утверждении проекта планировки и проекта межевания территории линейного объекта регионального значения "Реконструкция ВЛ 220 кВ ЭВС-2. Замена с выноской опор № 56, 57, 58, 59 и 60"
Номер опубликования: 3500201612270042
Дата опубликования: 27.12.2016
Страница №16 из 18:
Увеличить