Официальное опубликование правовых актов
ОФИЦИАЛЬНОЕ ОПУБЛИКОВАНИЕ
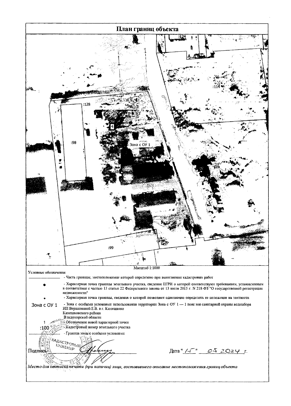
Приказ Министерства природопользования и экологии Владимирской области от 07.10.2024 № 74-н
"Об установлении зон санитарной охраны источников питьевого, хозяйственно-бытового и технического водоснабжения ИП Вершинина Е.В."
(Зарегистрирован 07.10.2024 № МПЭ2024-074)
Номер опубликования: 3301202410070001
Дата опубликования: 07.10.2024
Страница №6 из 26:
Увеличить