Официальное опубликование правовых актов
ОФИЦИАЛЬНОЕ ОПУБЛИКОВАНИЕ
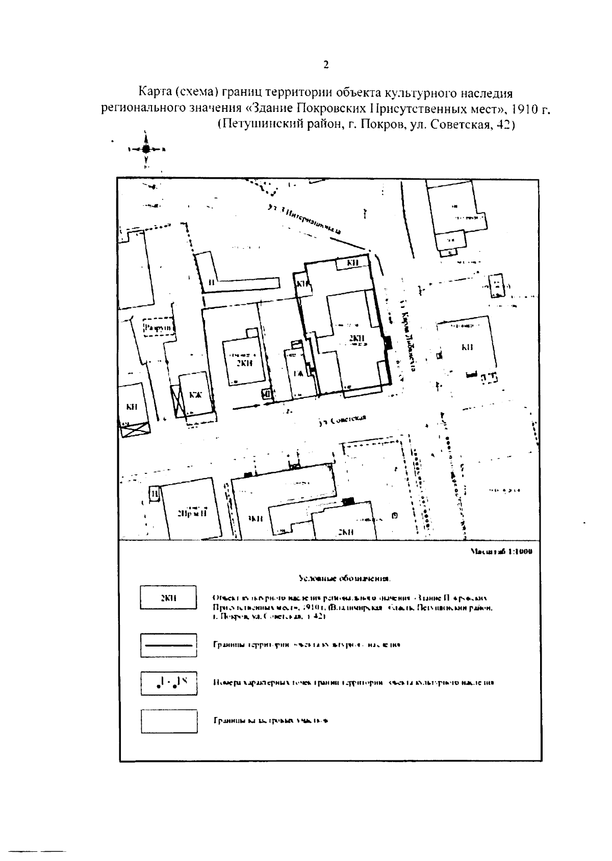
Приказ Инспекции государственной охраны объектов культурного наследия Владимирской области от 28.12.2023 № 32-н
"Об утверждении границ и режима использования территории объекта культурного наследия регионального значения "Здание Покровских Присутственных мест", 1910 г. (Петушинский район, г. Покров, ул. Советская, 42)"
(Зарегистрирован 28.12.2023 № ИГООКН-2023-32)
Номер опубликования: 3301202312290013
Дата опубликования: 29.12.2023
Страница №3 из 7:
Увеличить