Официальное опубликование правовых актов
ОФИЦИАЛЬНОЕ ОПУБЛИКОВАНИЕ
Постановление Инспекции по охране объектов культурного наследия Владимирской области от 14.09.2017 № 130
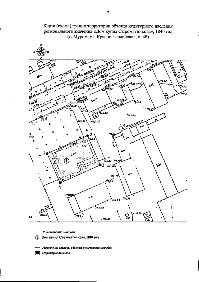
"Об утверждении границ и режима использования территории объектов культурного наследия регионального значения "Дом жилой", 1912 год (г. Муром, ул. Красногвардейская, д. 4) и "Дом купца Сыромятникова", 1840 год (г. Муром, ул. Красногвардейская, д. 4б)"
Номер опубликования: 3301201709140007
Дата опубликования: 14.09.2017
Страница №7 из 11:
Увеличить