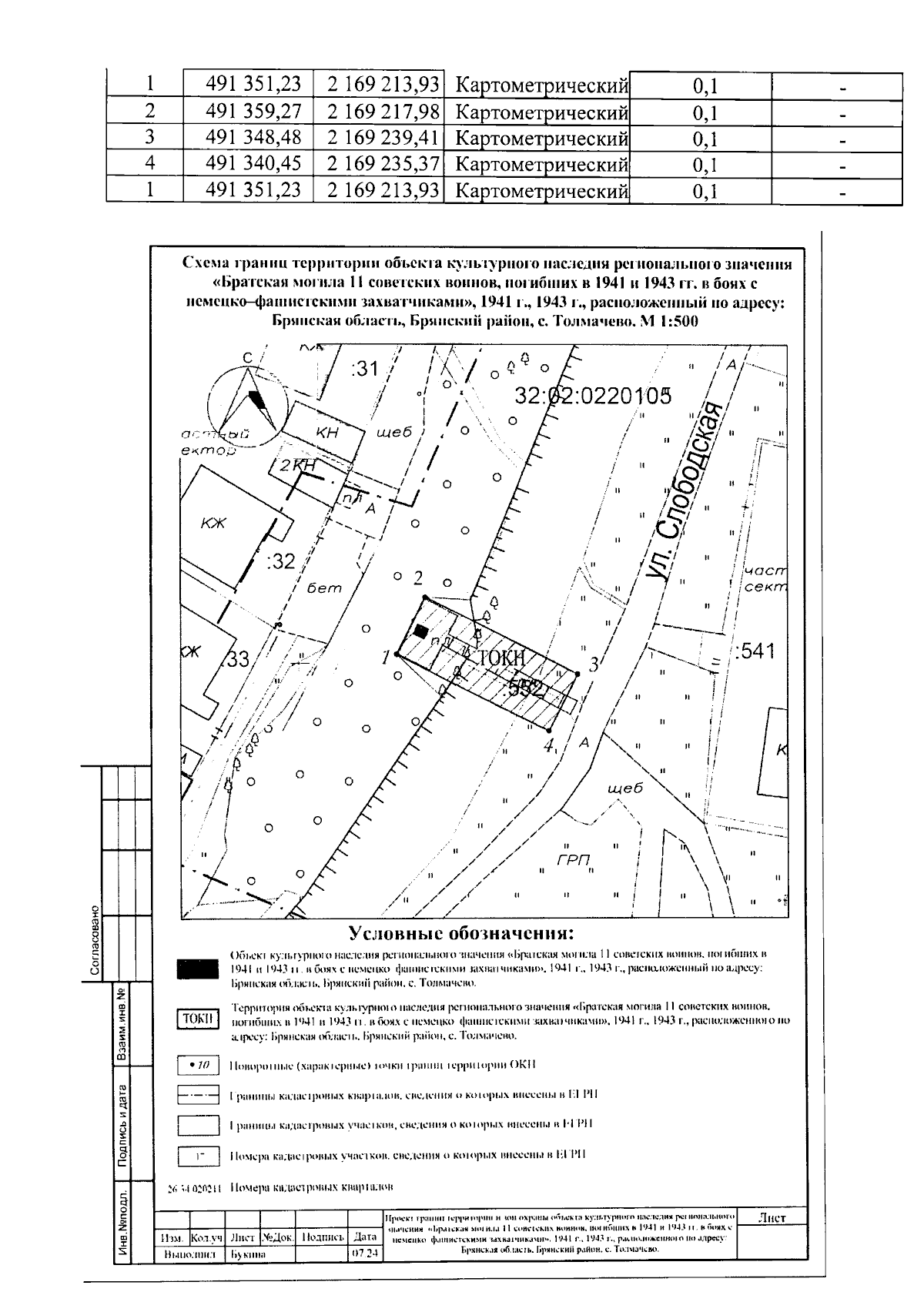
Приказ Управления по охране и сохранению историко-культурного наследия Брянской области от 03.02.2025 № 2-1/11
"Об утверждении границ территории, схемы границ территории и режима использования территории объекта культурного наследия регионального значения "Братская могила 11 советских воинов, погибших в 1941 и 1943 гг. в боях с немецко—фашистскими захватчиками" (Брянская область, Брянский район, с. Толмачево)"
(Зарегистрирован 04.02.2025 № 20250004025)
"Об утверждении границ территории, схемы границ территории и режима использования территории объекта культурного наследия регионального значения "Братская могила 11 советских воинов, погибших в 1941 и 1943 гг. в боях с немецко—фашистскими захватчиками" (Брянская область, Брянский район, с. Толмачево)"
(Зарегистрирован 04.02.2025 № 20250004025)
Номер опубликования: 3201202502070004
Дата опубликования:
07.02.2025
