Официальное опубликование правовых актов
ОФИЦИАЛЬНОЕ ОПУБЛИКОВАНИЕ
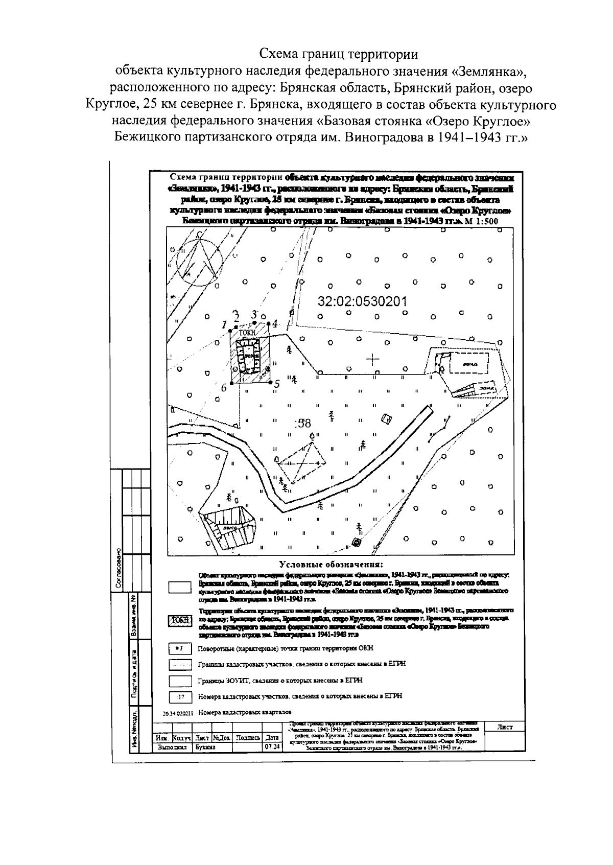
Приказ Управления по охране и сохранению историко-культурного наследия Брянской области от 14.10.2024 № 2-1/130
"Об утверждении границ территории и режима использования территории объекта культурного наследия федерального значения "Землянка", расположенного по адресу: Брянская область, Брянский район, озеро Круглое, 25 км севернее г. Брянска, входящего в состав объекта культурного наследия федерального значения "Базовая стоянка "Озеро Круглое" Бежицкого партизанского отряда им. Виноградова в 1941—1943 гг."
(Зарегистрирован 15.10.2024 № 20240057025)
Номер опубликования: 3201202410220002
Дата опубликования: 22.10.2024
Страница №5 из 7:
Увеличить