Официальное опубликование правовых актов
ОФИЦИАЛЬНОЕ ОПУБЛИКОВАНИЕ
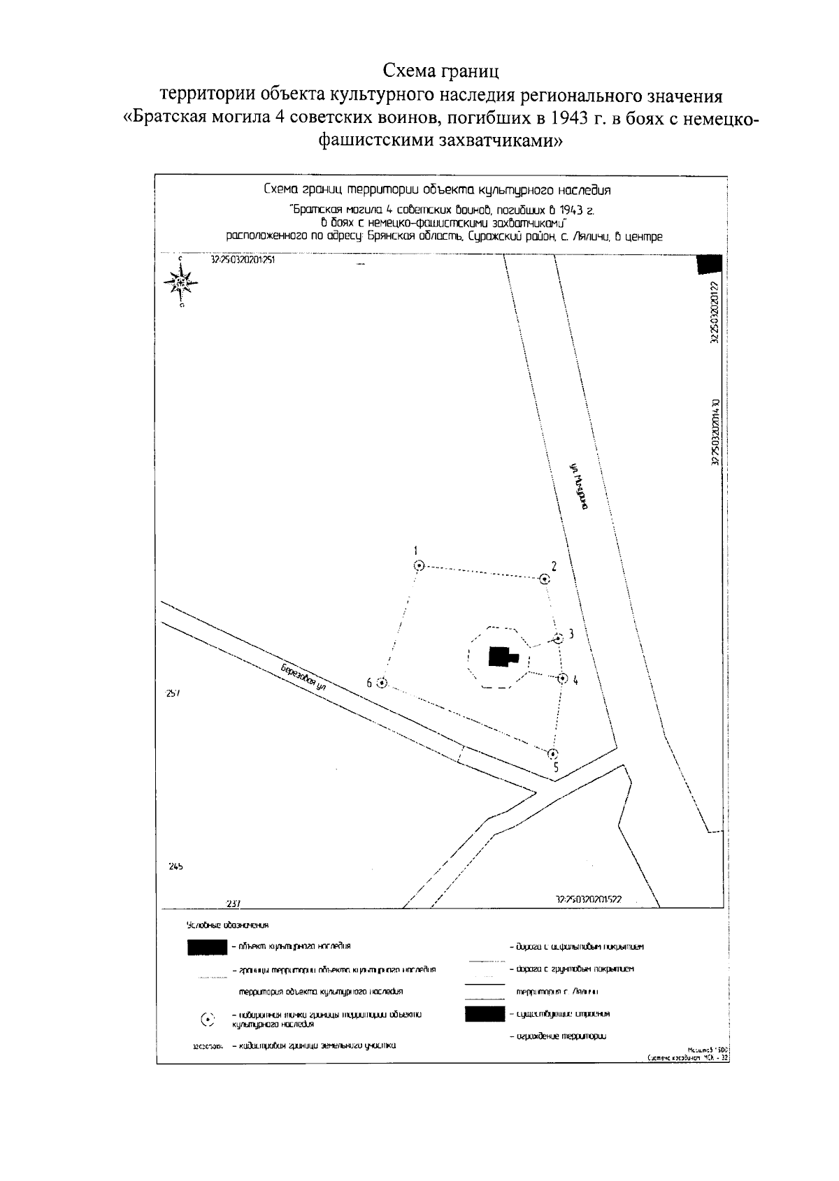
Приказ Управления по охране и сохранению историко-культурного наследия Брянской области от 26.12.2023 № 2-1/244
"Об утверждении границ территории, схемы границ территории и режима использования территории объекта культурного наследия регионального значения "Братская могила 4 советских воинов, погибших в 1943 г. в боях с немецко-фашистскими захватчиками", расположенного по адресу: Брянская область, Суражский район, с. Ляличи, в центре"
(Зарегистрирован 27.12.2023 № 20230140025)
Номер опубликования: 3201202312290048
Дата опубликования: 29.12.2023
Страница №3 из 4:
Увеличить