Официальное опубликование правовых актов
ОФИЦИАЛЬНОЕ ОПУБЛИКОВАНИЕ
Приказ Управления по охране и сохранению историко-культурного наследия Брянской области от 14.12.2023 № 2-1/210
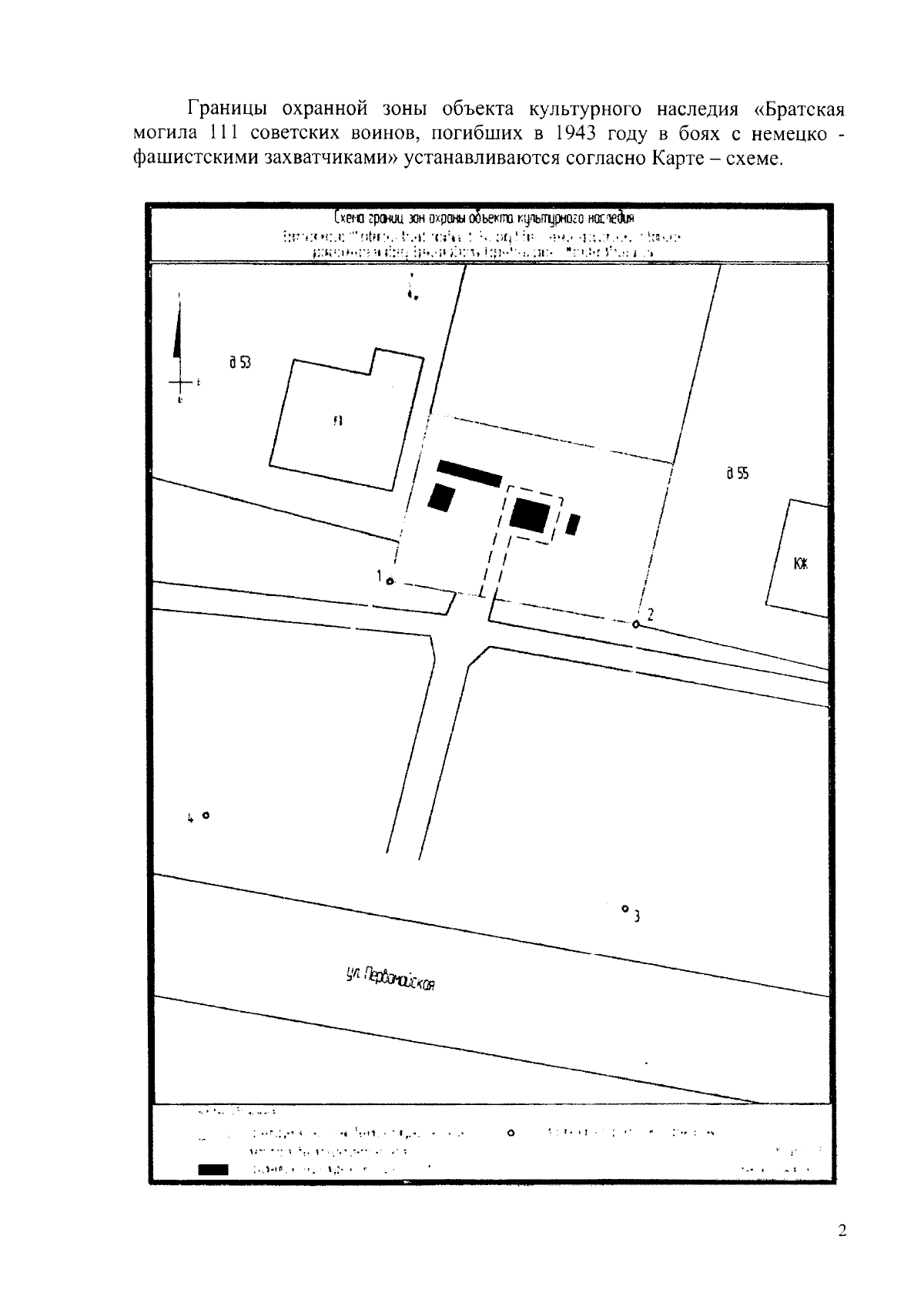
"Об установлении охранной зоны объекта культурного наследия регионального значения "Братская могила 111 советских воинов, погибших в 1943 году в боях с немецко-фашистскими захватчиками", расположенного по адресу: Брянская область, Карачевский район, д. Масловка, и утверждении требований к градостроительным регламентам в границах территории охранной зоны"
(Зарегистрирован 15.12.2023 № 20230113025)
Номер опубликования: 3201202312210010
Дата опубликования: 21.12.2023
Страница №4 из 6:
Увеличить