Официальное опубликование правовых актов
ОФИЦИАЛЬНОЕ ОПУБЛИКОВАНИЕ
Приказ Управления по охране и сохранению историко-культурного наследия Брянской области от 22.03.2023 № 2-1/33
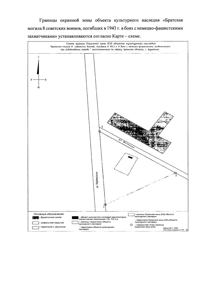
"Об установлении зон охраны объекта культурного наследия регионального значения "Братская могила 8 советских воинов, погибших в 1943 г. в боях с немецко-фашистскими захватчиками", расположенного по адресу: Брянская область, Суражский район, с. Душатино, и утверждении требований к градостроительным регламентам в границах территорий зон"
(Зарегистрирован 27.03.2023 № 20230010025)
Номер опубликования: 3201202304040006
Дата опубликования: 04.04.2023
Страница №4 из 7:
Увеличить