Постановление Правительства Брянской области от 02.12.2019 № 568-п
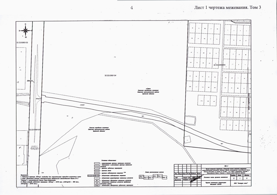
"Об утверждении документации по внесению изменений в проект планировки территории, содержащий проект межевания территории, на реконструкцию автомобильной дороги Севск - Доброводье на участке км 2+З00 - км 7+390 с устройством подъезда к автомобильной дороге "Украина" в Севском районе Брянской области"
"Об утверждении документации по внесению изменений в проект планировки территории, содержащий проект межевания территории, на реконструкцию автомобильной дороги Севск - Доброводье на участке км 2+З00 - км 7+390 с устройством подъезда к автомобильной дороге "Украина" в Севском районе Брянской области"
Номер опубликования: 3200201912060003
Дата опубликования:
06.12.2019
