Официальное опубликование правовых актов
ОФИЦИАЛЬНОЕ ОПУБЛИКОВАНИЕ
Постановление Правительства Брянской области от 13.11.2019 № 520-п
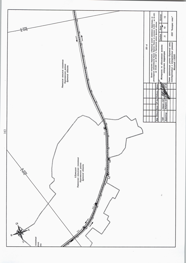
"Об утверждении основной части проекта планировки территории, содержащей проект межевания территории, для размещения линейного объекта на реконструкцию автомобильной дороги Карачев - Ружное на участках км 0+000 - км 19+601, км 19+814 - км 23+847 в Карачевском районе Брянской области"
Номер опубликования: 3200201911150002
Дата опубликования: 15.11.2019
Страница №164 из 299:
Увеличить